Działka na sprzedaż Wieleń (gw), Biała

1022.00 m²
429,55 zł/m2
NGK-GS-273
Oblicz ratę kredytu

439 000 zł

Działka na sprzedaż

Szczegóły oferty

Symbol oferty NGK-GS-273
Powierzchnia 1 022,00 m²
Przeznaczenie działki rekreacyjna
Zagosp. działki niezagospodarowana
Ukształtowanie działki falista
Kształt działki prostokąt
Ogrodzenie działki betonowe
Gaz brak
Woda jest
Dojazd asfalt
Otoczenie jezioro
Prąd jest
Kanalizacja brak
Marcin Zuwalski

Marcin Zuwalski

Manager
Nr licencji: 24721

Napisz wiadomość 38 Ofert

Opis nieruchomości

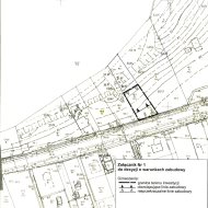
Działka z wydanymi warunkami zabudowy.

Do sprzedaży działka z bezpośrednim dostępem do linii brzegowej jeziora Białe, położona w miejscowości Biała, gmina Wieleń. Oznaczenie użytku RVI, N - grunty orne, nieużytki.

Działka częściowo zadrzewiona, teren płaski, częściowo lekko opadający w dół w stronę jeziora. W najbliższej okolicy zabudowa rekreacyjna. Działka posiada warunki zabudowy: 
- budowa budynku letniskowego wraz z infrastrukturą,
- wskaźnik zabudowy: nadziemna intensywność zabudowy od 0,17 do 0,27,
- udział powierzchni zabudowy do powierzchni działki od 8% do 13%,
- minimalna liczba miejsc do parkowania 2 miejsca,
- dla budynku letniskowego:
- szerokość elewacji frontowej od 7 m do 11 m,
- wysokość budynku, jedna lub dwie kondygnacje nadziemne od 6 m do 8 m n.p.t.,
- dach min. dwuspadowy o symetrycznym układzie głównych połaci dachu,
- równoległy lub prostopadły kierunek głównej kalenicy w stosunku do frontu działki,
- powierzchnia biologicznie czynna min. 50% powierzchni działki.

Działka posiada bezpośredni zjazd do drogi publicznej - drogę powiatową biegnącą przez miejscowość.

Media:
Prąd - wydane warunki przyłączenia 4 kW w układzie jednofazowym. Skrzynka ZK przy granicy działki.
Woda - doprowadzona do działki - studzienka.
Kanalizacja - brak, wymagana budowa szczelnego zbiornika bezodpływowego.

Polecam.

Lokalizacja nieruchomości

Kalkulatory

Kalkulator kredytowy

Wysokość raty

PLN
%

Kalkulator kosztów

Podatek od czynności cywilno-prawnych

Taksa notarialna
(opłata notarialna)

Wniosek o wpis do WKW

VAT od prowizji
agencji nieruchomości

Vat od taksy notarialnej
(opłaty notarialnej)

Prowizja agencji nieruchomości

Wypisy aktu notarialnego

Razem

Uwaga: mogą wystąpić dodatkowe opłaty za założenie księgi wieczystej oraz ustanowienie hipoteki.

PLN
PLN
PLN
PLN
PLN
PLN
%
PLN

Podobne oferty

Działka na sprzedaż

Wieleń (gw), Biała

812 m2 449,51 zł/m2

Działka na sprzedaż

Wieleń (gw), Biała

1 050 m2 409,52 zł/m2

Manager

Proszę wprowadzić poprawne imię i nazwisko
Proszę wprowadzić poprawny numer telefonu
Proszę wprowadzić poprawny adres e-mail
Proszę zaznaczyć wymagane zgody
Rozwiąż równanie:
16 8
Niepoprawny wynik